Was?! 30 Tage Thailand sind schon vorbei? Etwa genauso verhielt es sich am vergangenen Freitag, als Steffi & Pauli die Reise Richtung Myanmar antraten (mussten, aus Visums-Gründen). Das GRAUenhafte Januarloch lässt sich wohl nirgends schöner verbringen als im südlichen Thailand. Welch Glück die beiden haben! Das wird Steffi & Pauli praktisch jede Sekunde bewusst. Oder wie es Samuel, einer der zig Schweizer, welche die beiden Tag für Tag antreffen, ausdrücken würde: Jeden Tag stehen dir genau 86‘400 Sekunden zur Verfügung, also geniess es. Das haben Steffi & Pauli auch in den vergangenen Millionen von Sekunden ausgiebig getan und zwar an folgenden Orten:
Koh Lanta – auf dieser etwas grösseren Insel im Süden von Phuket unternehmen die beiden kleinere und grössere Roller-Touren. Die Freiheit ist nur durch die Inselgrösse begrenzt… oder durch die einsamen und wunderschönen Sandstrände, welche sogleich zum Träumen einladen, erst Recht bei Sonnenuntergang…
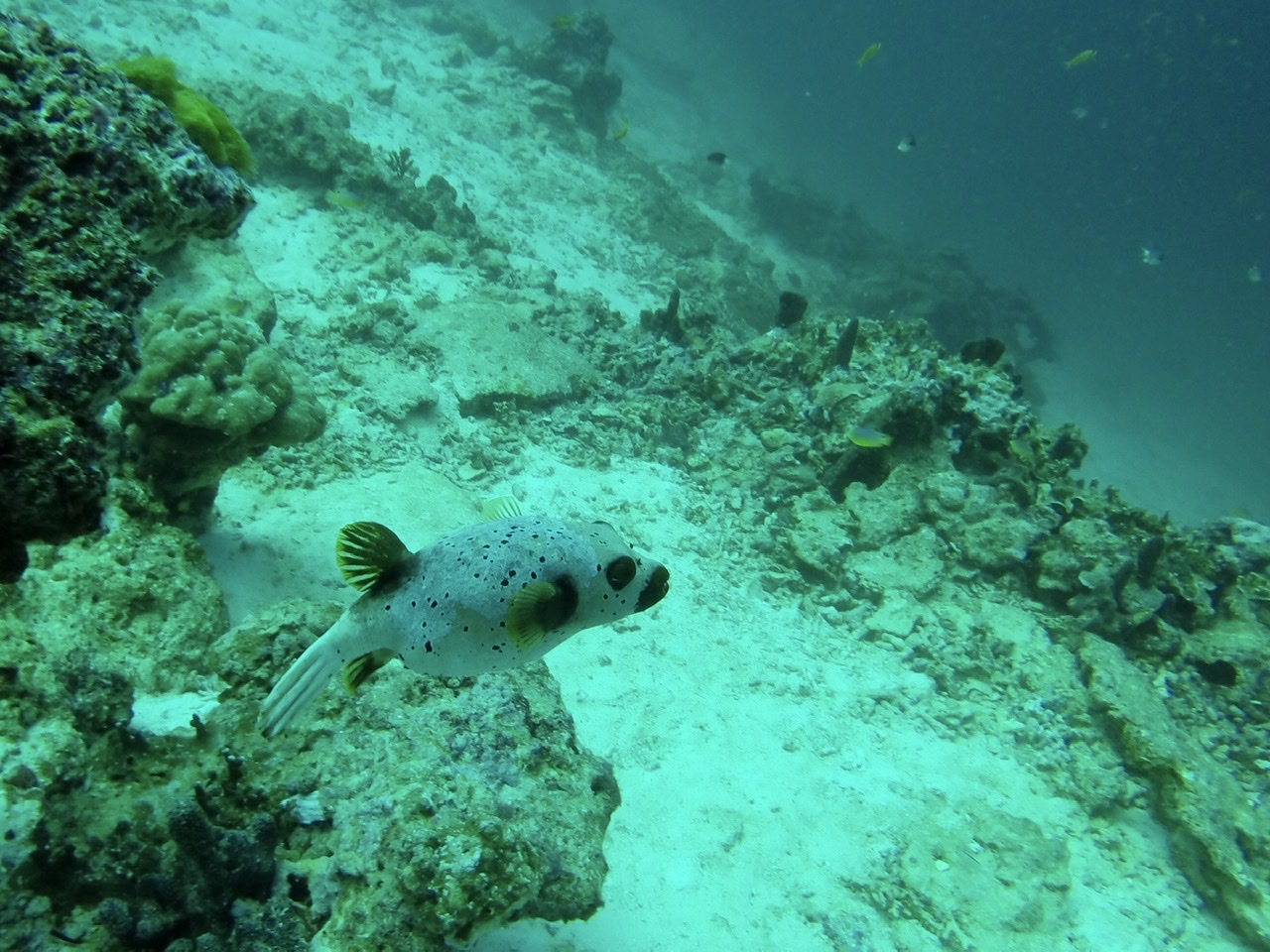
Koh Haa – das Tauchparadies befindet sich etwa eine Speedbaot-Stunde von Koh Lanta entfernt. Für Steffi & Pauli eine ideale Abwechslung zum Rollerfahren…
Railay – von Pascal empfohlen werden die beiden von riesigen, fast schon übernatürlich erscheinenden Felsen willkommen geheissen. Überwältigt sind die beiden, aber sogleich auch schockiert. Denn leider sind nicht nur Steffi & Pauli einer Empfehlung eines guten Freundes gefolgt, sondern auch die ganzen Massen von Touristen aus der halben Welt. Ein wahrhaftiger Kampf um die besten Plätze beim Sonnenuntergang entsteht. Und während sich die Sonne mit ihrem letzten Zünglein verabschiedet, starten auch schon die ersten der unzähligen Longtailboote ihre frisierten Rasenmähermotoren. Die Touristenmassen verfügen schliesslich über fixe Programmpunkte, so kurz nach Sonnenuntergang heisst der nächste: Abendessen. Railay ist nur ganz früh am Morgen oder kurz nach dem Sonnenuntergang zu empfehlen, nämlich dann, wenn die Tagestouristen abgereist sind…
Khao Lak – das vom Tsunami traurig bekannt gewordene Fischerdorf ist Steffis & Paulis erste Festlanddestination im Süden Thailands. ‚Willkommen zuhause‘ könnte es auch anders heissen, denn seit der Tsunamikatastrophe haben sich hier viele Europäer niedergelassen. Auch Schweizer treffen die beiden wie überall und jeden Tag an. Hier allerdings erstmals auch solche, welche schon länger einen festen Wohnsitz erlangt haben. Bei Nik, dem stämmigen Berner, geniessen die beiden frisch gebackene Laugenbrötli zum Zmorge. Was für eine Überraschung! Doch für die Nahrungsaufnahme am Mittag und am Abend entscheiden sie sich gegen Raclette & Fondue. Stattdessen kommt die indisch-thailändische Familie zum Zug, welche in ihrem kleinen Restaurant in erster Linie vegetarische und vegane Menüs servieren. Für Steffi & Pauli somit das Schlaraffenland!
Similan Inseln – zum Abschluss machen die zwei noch jungfräulichen Taucher einen Zweitagesausflug zu diesem Tauchparadies. Die eindrückliche Unterwasserwelt können die beiden erstmals auch bei Nacht erkunden, denn sie erweitern gleichzeitig ihre Fähigkeiten und erhalten zum Schluss das Zertifikat ‚Advanced Open Water Diver‘, wuhuuu!
Thailand – to be continued – Steffi & Pauli kehren zurück!
















































Hoi ihr Zwei,
so ein farbenprächtiges Päckli, aus blumigen Beschreibungen und den begleitenden Farbenföteli ,- ist einfach eine Abwechslung im grauen Schulalltag. Wir sind zum Glück in der letzten Woche vor den Sportferien angelangt und freuen uns auf die baldige Auszeit.
Lieben Gruss in die weite, ferne Welt
Karin
Schöne Fotos! Das eine oder andere kommt mir sehr bekannt vor, genau da waren Isabelle und ich ja auch schon. Zum Glück bin ich nie so nahe an eine solche schwarz-weiss gestreifte Meerschlange geraten, die ist bestimmt giftig! In genau 8 Wochen sind wir auch wiedermal in Thailand, zum 8. Mal…
Geniesst Myanmar ! Von da habe ich gerade folgendes gelesen:
At one hospital in Yangon, the largest city in Myanmar, a slide show during a presentation on preventing the spread of coronavirus said: “Don’t be so afraid of the coronavirus. It won’t last long because ‘made in China.”